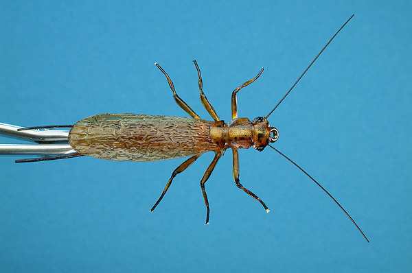
Golden Adult Stone

Golden Adult Stone (bank)

Golden Adult Stone (top)

Golden Adult Stone (bottom)
Fly: Dale Beamish, Photographs: Hans Weilenmann

Hook: Mustad 79580 #6-8
Thread: UTC 70 Cream coloured with permanent marke
Setae: Stripped Hackle Quills
Abdomen: Foam strip wrapped
Thorax: Foam strip pulled forward
Wing: Medallion Wing treated with Soft Body
Head / Thorax Cover: Pre-prepared Tyvek paper
Legs: Japanese Nymph Leg and Porcupine Quill
Eyes: Soft Body
Antennae: Horse hair
Colouring: Permanent markers
Tying notes:

After tying in the foam and just before wrapping, I run a small bead of *Crazy Glue* along it’s length. After wrappings gently squeeze the abdomen flat using needle nosed pliers to further enhance the shape.

I have tried porcupine guard hairs for the antennae and although they provide a little more realism, I find the horse hair more durable and easier to work with.


Back to Thumbnails

© 2005 Hans Weilenmann
Please don't copy/distribute the contents of this page without my explicit permission.